
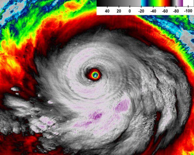
At least two people are dead and thousands are without power in the Philippines after Typhoon Usagi tore through the Luzon Strait on Thursday with wind gusts up to 160 miles per hour. It’s projected path across the South China Sea takes it directly toward Hong Kong for its next landfall, however it seems like the mountains of the Philippine Islands have taken a bit of steam out of the storm.
Weather Underground co-founder, Dr. Jeff Masters, predicts the storm to weaken as the center goes through a process called an “eyewall replacement cycle” and as it begins to feel greater land interaction and lower sea temperatures.
The storm is likely to make landfall near Hong Kong in the next 24-30 hours according to the most recent update from the Joint Typhoon Warning Center in Pearl Harbor, Hawaii. Wind gusts are currently up to 115 miles per hour. The 24 hour forecast predicts further weakening with max wind gusts of up to 80 knots.
Brian McNoldy from the University of Miami created the following animated gif of the outer bands already hitting the Chinese mainland.

Perhaps the biggest concern for Hong Kong, and the Chinese mainland however is not the wind, but the immense amount of rainfall it will receive in the next few days. In parts of Taiwan, nearly a foot of rain has fallen over the past 24 hours.
The following video shows the surf in Taiwan, filmed by storm chaser, James Reynolds.
Editorial Standards · Corrections · About gCaptain